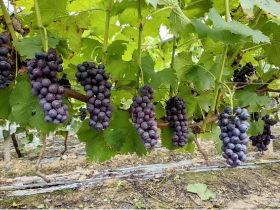
眼下,正是葡萄成熟時節,江西省宜春市樟樹市張家山街道蛟湖建明葡萄園的葡萄迎來了大豐收,一串串色澤鮮艷、飽滿多汁的葡萄掛在枝頭,務工群眾正忙著采摘、裝箱、搬運。葡萄園里,不少游客在葡萄架下采摘、品嘗葡萄中過足了一把癮。

“今年葡萄掛果較好,果子甜,能賣個好價錢。”種植戶徐建明笑得合不攏嘴,“我們利用大棚精心栽培,通過疏花、蔬果等方式,重點放在提升葡萄品質上,葡萄甜度高,味道鮮美。”建明葡萄園采用“基地+休閑”模式科學種植,嚴格控制產量,保證葡萄果粒大、糖度高。目前,葡萄種植占地面積25畝,主要有陽光玫瑰、紅玫瑰、醉金香、巨峰等品種,成熟采摘期在7至9月,特色品種齊全,深受市場青睞。

近年來,張家山街道在產業振興的引領下,因地制宜培育“葡萄+”特色產業,帶動群眾脫貧增收,促進產業提質增效,打造一條“甜蜜產業鏈”,葡萄經濟成為鄉村振興新引擎。該街道將葡萄產業與有機農業相結合,積極推廣“黨支部+特色產業+合作社+農戶”的產業發展模式,聘請葡萄種植專家將授課地點搬到種植大棚內,手把手傳授種植技術,從種植選址、規劃、建設,到葡萄管理技術、肥料使用等,為村民提供全過程的精細化幫扶對接,充分激發農民內生動力,增加農民收入。同時,在用工上優先考慮周邊的脫貧戶,吸納脫貧戶實現家門口就業,靠著葡萄輻射帶動越來越多的人一起走上了致富路。
為了滿足市場需求,張家山街道蛟湖桑葚無花果合作社在葡萄棚下做起了林下經濟,用生態循環、立體種養的方式種植葡萄、散養家禽。種出來的葡萄不但味道甜美,家禽也十分暢銷。除種植葡萄外,種植的無花果、桑葚、白枇杷、李子等水果也供不應求,受到消費者的歡迎。這種方式也成為當地產業結構調整的一個亮點,為廣大果農開辟了綠色增收新途徑。
葡萄經濟帶活了鄉村經濟,也帶動了鄉村振興。該街道將農村人居環境整治作為鄉村振興重要抓手,大力推進“廁所革命”、農村生活垃圾、生活污水治理,補齊農村基礎設施短板,推動鄉村實現美麗蝶變。圍繞“特色、田園、鄉村”核心要素,深挖鄉愁記憶、重塑鄉土魅力,聚焦鄉賢能人帶動作用,通過發展生態農業、創意農業等新經濟,打造集休閑觀光、果蔬采摘、配送、農耕體驗為一體的都市型現代休閑農業旅游區,讓鄉村振興‘有格局’‘有干貨’‘有效應’‘有質感’。
附件:



